d3a5d4ae5a9cd4332418c32d5cc6cfb0
Wednesday, 29 October 2025
Menu
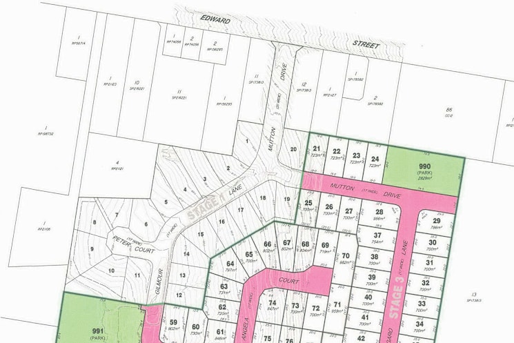
On the Council planner’s desk - 29th October 2025
3 min read

ARE you interested in what developments are in the planning stages in your neigh...

Subscribe to Fassifern Guardian to read the full story.